Hüftgelenkdysplasie der Französischen Bulldogge
Die Hüfgelenkdysplasie (HD) ist die häufigste Erbkrankheit des Skelettes der Hunde, sie betrifft alle Rassen und Mischlinge. Hier ist das Kugelgelenk, welches aus der Hüftpfanne (Acetabulum) und des Oberschenkelkopfes (Femurkopf) besteht, von dysplastischen Veränderungen betroffen, die sich im Laufe des Lebens durch Verschleiß verstärken und nicht heilbar sind. Die HD wird multifaktorell vererbt und ist trotz strenger Diagnose- und Selektionsmaßnahmen nur schwer kontrollierbar, da auch gesund ausgewertete Tiere Träger der Krankheit sein und diese vererben können.
Neben der genetischen Disposition spielen auch Einwirkungen aus Belastung und Fütterung eine geringfügige Rolle, die die pränatale Entwicklung des Hüftgelenks beeinflussen können. Hauptursächlich muss aber sicherlich die Erbanlage für die Lockerheit des Gelenkes gesehen werden. Ein genetisch HD-gesunder Hund wird durch unsachgemäße Ernährung und Bewegung als adulter Hund kaum zu schweren Deformationen neigen.
Die Rasse Französische Bulldogge ist wie der Mops und die Englische Bulldogge von der HD stark betroffen. Die Krankheit wird aber wegen ihrer „weichen“ Symptome, die bei dem kleinen, stark bemuskelten Hund erst bei hochgradigen Veränderungen auffällig werden, überwiegend ignoriert.
Viele Bullys zeigen bei stabiler Wirbelsäule in Verbund mit mittlerer HD keine deutlichen Anzeichen von Schmerzen oder Bewegungseinschränkungen, da der Bully, anders als beispielsweise der Dobermann seine Fortbewegung hauptsächlich aus der Kraft der Vorderhand holt.
Es ist allerdings indiskutabel, Erbkrankheiten zu ignorieren, weil der kompakte, gut bemuskelte Hund die Deformationen relativ gut kompensieren kann.
Aber: Eine HD in Verbund mit Schwachstellen in der Wirbelsäule kann bereits im Junghundealter verheerende Folgen haben, da sich das Gangwerk durch Deformationen in der Hüfte automatisch auf einen anderen Schwerpunkt weiter vorne in der Wirbelsäule verlagert und vorhandene Schwachstellen ungünstig beeinflussen kann.
Die meisten Zuchtclubs fordern keine HD-Untersuchungen für die Zuchttauglichkeitsprüfung, so dass man sich lediglich auf wenige Veröffentlichungen von HD-Ergebnissen und eigene Auswertungen beziehen kann. Diese zeigen aber, dass eine einwandfreie HD-A beim Bully sehr selten ist. Der Durchschnitt befindet sich grob zwischen der Übergangsform (HD-B) bis hin zu mittlerer HD (HD-D).
Grundsätzliche Einteilung der HD-Graduierung in Europa:
Grad A = HD-frei
Grad B = HD Verdacht / Übergangsform
Grad C = HD leicht
Grad D = HD mittel
Grad E = HD schwer
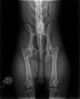
Bullyrüde, Dissidenz Deutschland, mit HD-freier Hüfte, nach herkömmlicher Methode geröngt

Weitere Röntgentechnik in "Frosch"-Lage

Eine gesunde Hüfte besteht aus runden Femurköpfen, die fest in den Hüftpfannen sitzen, der Oberschenkelknochen ist gerade und nicht zu kräftig.

Zufallsbefund einer mittleren HD eines Rüden, FCI Ungarn ohne besondere Auffälligkeiten. Die Oberschenkelköpfe sind hier walzenförmig und nicht rund ausgeprägt und sitzen zu locker in den Pfannen, so dass es im Alter zu Arthrosen durch Abrieb kommen wird.

Es gibt aber auch tragische Fälle von schwerer bis sehr schwerer HD mit kompletter Umformung der Hüftpfannen und stark luxierenden Gelenken sowie starken Arthrosen im Junghundealter.
Hündin, FCI Deutschland, mit HD D/E mit luxierbaren Gelenken und Auffälligkeiten im Gangwerk.

Die Verbesserung der HD fordert eine langfristige sorgfältige Kontrolle und Auslese akzeptabler Tiere.
Bei der Selektion des Bulldogs muss allerdings der Fokus nach wie vor auf das Brachyzephale Atemweg Syndrom und eine Wirbelsäule ohne schmerzverursachenden Deformationen gelegt werden. Zuchthunde, die in allen 3 Kategorien Atmung, Wirbelsäule und Hüfte nahezu ohne Belastung sind, findet man nicht so oft, wie man sich das wünscht. Hier gilt es das Gesamtpaket individuell zu beurteilen und Prioritäten hinsichtlich Vitalität und Lebensqualität zu stellen und abzuwägen, was man als Züchter verantworten und dem gezüchtetem Tier zumuten kann, ausgehend vom maximal zu erwartendem Krankheitswert der Nachzuchten, die der besonnene Züchter sicherlich mit in die Beurteilungen mit einbezieht. Zuchtziel muss natürlich die Verdünnung und Ausrottung der Defekte über Generationen sein.
Grundlegend gehört hier eine fundierte Auswertung aller drei hauptsächlichen Erbkrankheiten her. Das Interesse hierfür ist bei vielen Verbänden, Vereinen und Züchtern erschreckend gering. Eine geschlossene Kontrolle von Nachzuchten und nahen Verwandten wäre zwingend erforderlich, um das Problem der HD über Generationen steuern zu können.
Die Praxis zeigt leider zu oft, dass dies in Krankheitsfällen der Nachzucht und somit Verdachtsfällen, die auf die Elterntiere schließen lassen, sogar verweigert wird. Akzeptanz durch Ignoranz von Erbfehlern ist hier sicher eine denkbar schlechte Einstellung zur Zucht und zur Rasse!
Eine kleine Übersicht der finnischen Datenbank Jalostus zeigt, wie wenige Bullys untersucht werden und wie stark die ausgewerteten Tiere das Mittelmaß um die HD-C besetzen.

  
Im Falle einer mittleren bis schweren HD-Erkrankung muss durch einen Fachtierarzt geklärt werden, welche Therapieform für den betroffenen Hund den größtmöglichen Erfolg auf Beschwerdefreiheit verspricht.
Hier ist die Bandbreite der Möglichkeiten hoch, angefangen über Physiotherapie mit Muskelaufbau, bis hin zu operativen Eingriffen wie Pektinektomie, evtl. verbunden mit einer Goldakkupunktur. Weitere chirurgische Eingriffe sind die Femurkopfresektion, DBO oder gar das Einsetzen von künstlichen Hüftgelenken, was bei Kleinhunden aber eher selten der Fall ist.
Bei der Pektinektomie wird der Musculus pectineus entfernt, um eine verbesserte Lage des Femurkopfes in der Gelenkpfanne zu erzielen. Dieser schonende Eingriff verspricht Erfolg, wenn das Gelenk nicht zu stark deformiert ist und es noch keine fortgeschrittenen Arthrosen gibt. Entgegen der allgemeinen Empfehlung kann diese OP-Methode auch bei einem älteren Bully zu einem gewünschten Erfolg führen, wenn der Muskel entfernt und nicht nur eingeschnitten wird und das Gelenk ggfls. noch durch Goldimplantate behandelt wird.
Zwei Halbschwestern FCI Deutschland, auffällig sind auch die unterschiedlichen Ausprägungen von Lendenwirbeln und Struktur der Oberschenkelknochen. Eine Hündin wurde per Pektinektomie behandelt.

Durch die Akupunktur mit Goldimplantaten kann die Schmerzreaktion des Hundes gestoppt werden.
Diese beiden Möglichkeiten schließen bei Nichterfolg eine weitere Behandlung, wie beispielsweise, die der Femurkopfresektion nicht aus.
Bei der Femurkopfresektion wird der Oberschenkelkopf abgetrennt und entfernt, so dass sich an dessen Stelle ein bindegewebeartiges Ersatzgelenk bildet. Diese OP-Methode kann notwendig werden, wenn der Hüftgelenkskopf und die Hüftpfannen stark degeneriert und von fortschreitenden Arthrosen befallen sind. Nachteil dieser Operation sind aufwändige Physiotherapien, die folgen müssen.
Hündin mit stark deformierten Hüftpfannen, Dissidenz Deutschland, die im jungen Alter mittels Femurkopfresektion behandelt wurde.

Die Französische Bulldogge steht von 172 Rassen, die von der OFA - Orthopedic Foundation For Animals auf Hüftgesundheit ausgewertet wurden auf Platz 20!
Sichere Diagnostik und Früherkennung durch das PennHIP-Verfahren
In der finnischen Datenbank Jalostus finden sich ähnliche Ergebnisse: Jalostus Hips
Bitte klicken Sie für weitere Informationen folgendes Video an: Tiergesundheit-Aktuell
Weitere interessante Verlinkungen findet man auf unserer englischen HP
 
									